Los animales pueden sufrir lesiones o enfermedades que afectan a su aparato músculo – esquelético. Lo más común es que estos problemas se den en perros mayores, por el desgaste ocasionado por la edad. Mantener a nuestro perro en forma y activo con una buena dieta es esencial para evitar o retrasar su aparición. Estos son algunos de los problemas musculoesqueléticos en perros en perros más frecuentes.
Todos estos problemas tienen que ser diagnosticados por un veterinario. En la clínica se le realizará una exploración al animal, se comprobará su forma de andar e incluso se harán radiografías o pruebas más especializadas.
Osteoartritis
La osteoartritis canina, también conocida como enfermedad articular degenerativa, se debe a una degeneración lenta y progresiva del cartílago que rodea las articulaciones. Además también hay cambios en el hueso y otras estructuras articulares. Puede afectar a caderas, codos o rodillas, y suele hacerlo a más de una a la vez.
Afecta con mayor frecuencia a perros mayores y de mediana edad, pero también a los perros de razas grandes como los pastores alemanes, los rottweiler, los husky siberianos o los golden retriever.
Los síntomas más frecuentes son una disminución del nivel de actividad, cojera y rigidez de las articulaciones, que pueden empeorar después de un ejercicio intenso, períodos prolongados de inactividad o a causa del frío.
Para la osteoartritis se suele recomendar:
- Pérdida de peso.
- Ejercicio controlado y actividades de bajo impacto, como caminar o nadar.
- Fisioterapia. La hidroterapia es una excelente manera de mejorar la fuerza y desarrollar músculo, sin que las articulaciones sufran.
- Tratamientos farmacológicos.
- Suplementos nutricionales para mejorar el estado de las articulaciones, los condroprotectores.
- Cirugía. En algunos casos y determinado por un especialista traumatólogo.
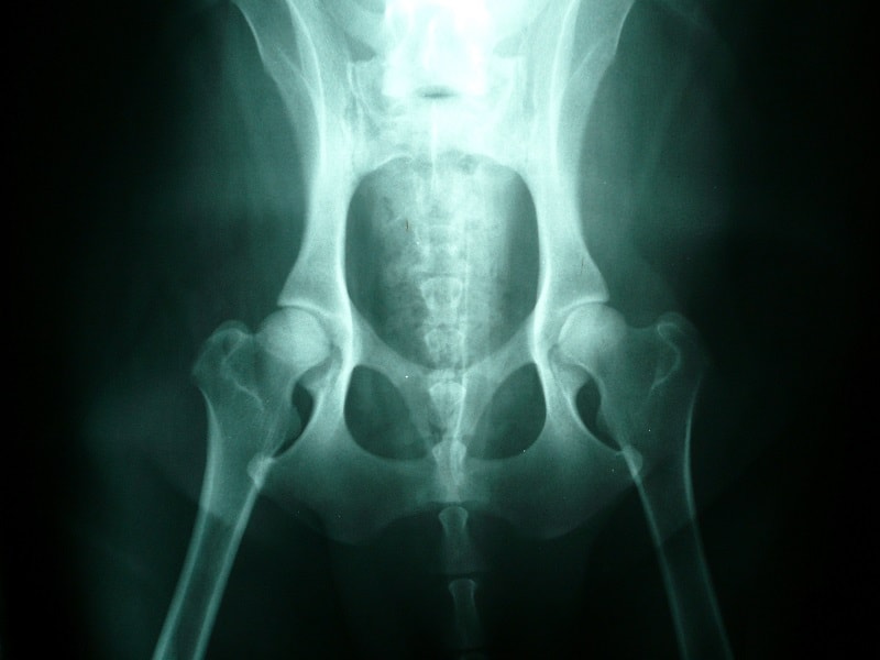
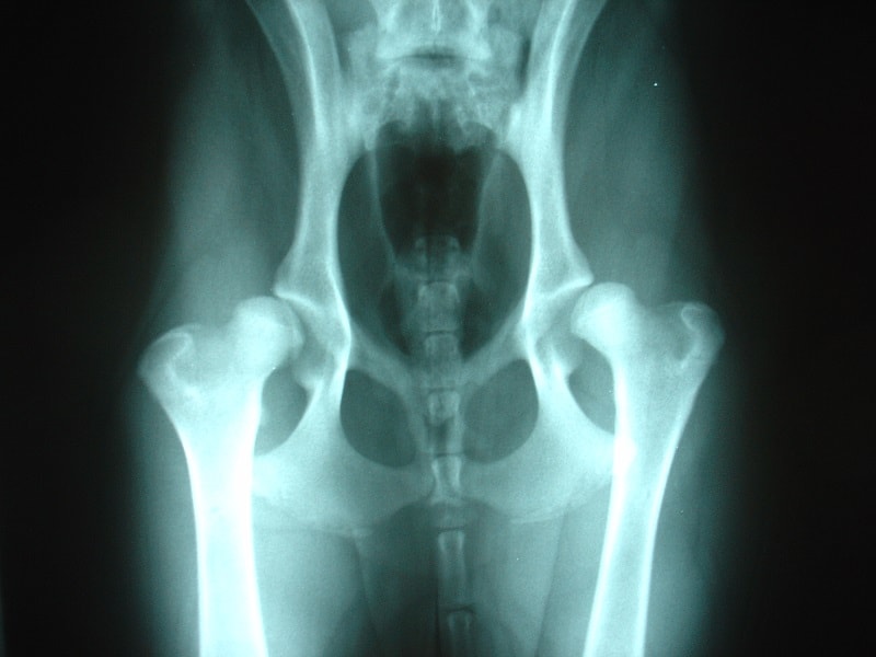
Displasia de cadera
Típica de perros grandes como mastín o pastor alemán y es hereditaria. La displasia de cadera puede presentarse en jóvenes, por lo que es aconsejable realizar radiografías para un diagnóstico precoz, en los perros viejos también es frecuente.
El acetábulo hueco es el hueco en la pelvis que aloja la cabeza del fémur. En la displasia, este hueco y la cabeza del fémur se van deformando hasta que la cabeza entra y sale del acetábulo. Esto produce dolor y cojera, los perros no desean saltar y toleran menos el ejercicio o les cuesta levantarse y subir escaleras. Su marcha suelen ser balanceante, cambian el peso evitando apoyar la extremidad que les duele.
Los tratamientos en estos casos son:
- Un control de la alimentación para evitar obesidad.
- Ejercicio regulado y progresivo para fortalecer los músculos de alrededor y tener un correcto apoyo del peso en las articulaciones.
- Condroprotectores y antiinflamatorios.
- Cirugía (si lo recomienda el especialista) y posterior rehabilitación. Existe una cirugía preventiva que puede considerarse en cachorros de razas predispuestas tras el estudio radiográfico preventivo.
Rotura de ligamento cruzado
Es una de las causas más frecuentes de cojera en perros pequeños mayores. Es la rotura total o parcial de uno de los ligamentos de la rodilla.
La solución es quirúrgica, los antiinflamatorios y el fortalecimiento de los músculos pueden disminuir el dolor y la cojera.

La osteoartritis, la displasia de cadera y la rotura del ligamento cruzado son tres de los problemas musculoesqueléticos en perros más comunes que encontramos en clínica. En Vitalcan un ofrecemos servicio de cirugía traumatológica y contamos con amplia experiencia en estos casos.
Existen más problemas asociados a los músculos, huesos y articulaciones en perros, una buena planificación es clave para el tratamiento y el cuidado de tu mascota y a menudo supone combinar el tratamiento quirúrgico y/o médico con un cambio de estilo de vida. Como has podido observar, algunas razas están más predispuestas que otras es estos problemas. Si quieres saber más sobre la predisposición racial a enfermedades puedes encontrar información en nuestro blog.





